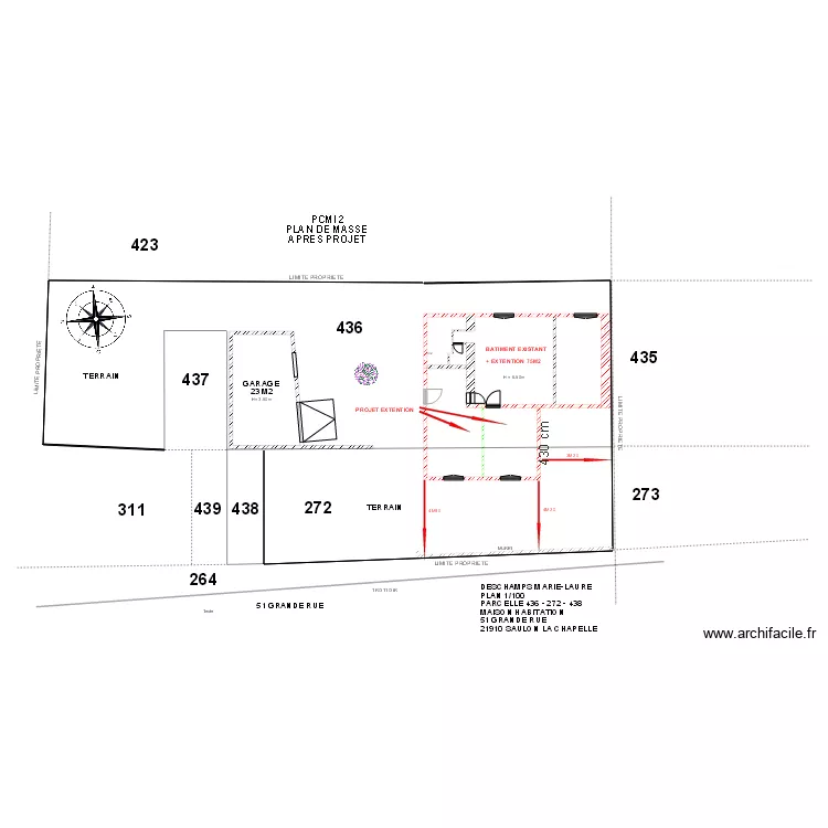
PCMI 2 PLAN DE MASSE APRES PROJET FINAL 2019
Plan de

Description
BATIMENT EXISTANT + PROJET EXT
Détails du plan
- Plan commencé le 08/10/2019 à 20:41 par MAISONSAULON
- Modifié le 08/10/2019 à 20:41 par MAISONSAULON
- Partage : Utilisation
Mots clés
Liste des pièces
Aucune pièce n'a été créé sur ce plan.
Liste des objets
| Nom de l'objet | Nombre |
|---|---|
| Texte | 30 |
| Arbre à fleurs | 1 |
| Boussole 2 | 1 |
| Flêche | 5 |
Lien vers ce plan
Lien pour partager le plan PCMI 2 PLAN DE MASSE APRES PROJET FINAL 2019
Image du plan
Copier et coller le code ci dessous
Partagez ce plan
Vous aimez ce plan ?
Cliquez sur J'aime et gagnez des fonctionnalités