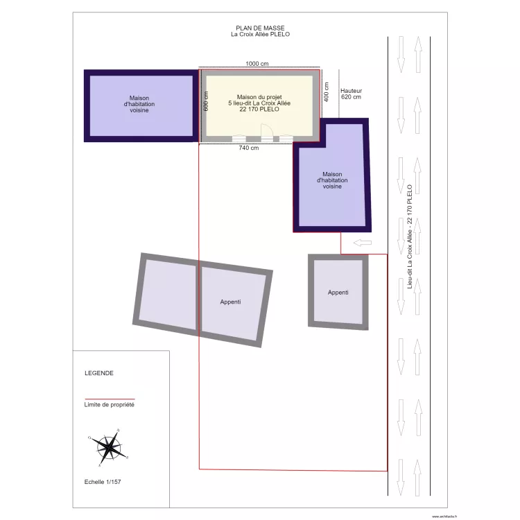
PLAN DE MASSE
Plan de

Description
Plan de masse
Détails du plan
- Plan commencé le 28/10/2016 à 12:23 par GADELF
- Modifié le 28/10/2016 à 15:18 par GADELF
- Partage : Utilisation
Mots clés
Liste des pièces
Aucune pièce n'a été créé sur ce plan.
Liste des objets
| Nom de l'objet | Nombre |
|---|---|
| Texte | 15 |
| Boussole 1 | 1 |
| Flêche | 17 |
Lien vers ce plan
Lien pour partager le plan PLAN DE MASSE
Image du plan
Copier et coller le code ci dessous
Partagez ce plan
Vous aimez ce plan ?
Cliquez sur J'aime et gagnez des fonctionnalités